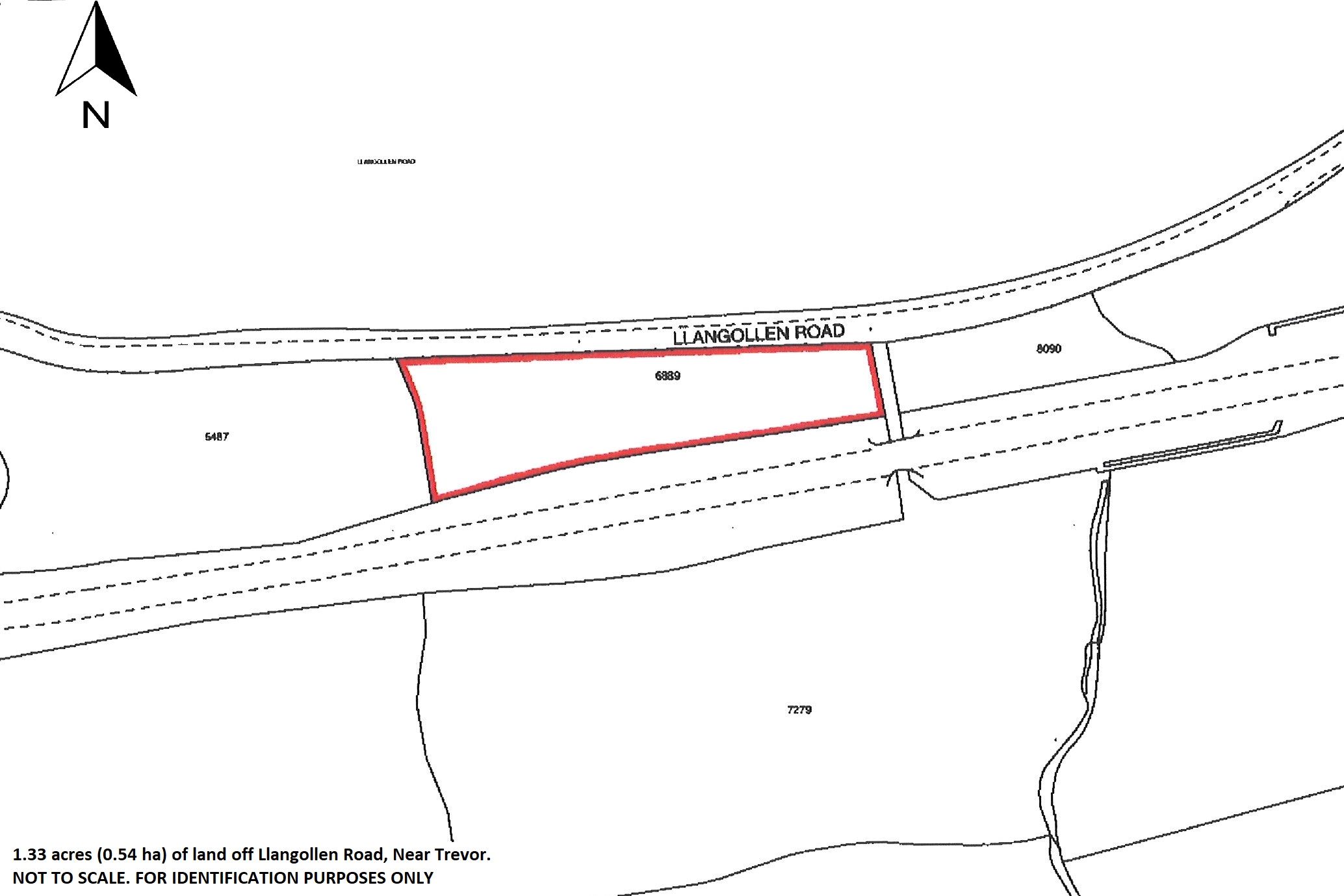
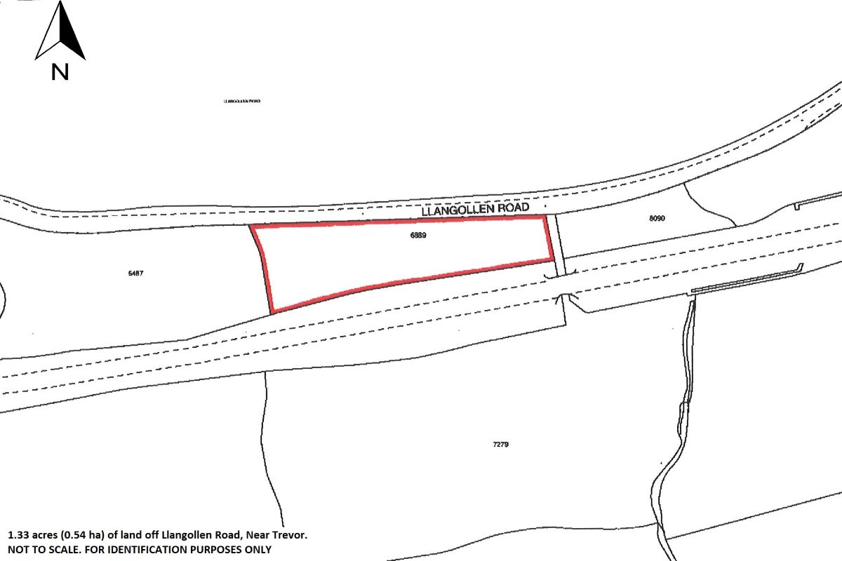
1.33 acres of land off Llangollen Road, Trevor, Llangollen, Wrexham, LL20 7UW

  • Unconditional Online Auction Sale
  • Guide Price* : £15,000 to £20,000

FOR SALE BY ONLINE AUCTION ON 7TH OCTOBER 2021. GUIDE PRICE £15,000 TO £20,000. A rare opportunity to acquire 1.33 acres (0.54 ha) or thereabouts of agricultural grazing land ideally located off Llangollen Road near Trevor. The land is laid to pasture and would suit a range of agricultural, equine or amenity uses (subject to obtaining any necessary consents). It is fenced and includes a wide access gateway leading directly onto the Llangollen Road.

Description

The land is ideally located just off the Llangollen Road (A539) between the popular village of Trevor and renowned centre of Llangollen. Both Trevor and Llangollen are easily accessible via the wide access gateway onto the council maintained roadway. The land is in one ring fenced parcel on the south side of the Llangollen Road and extends to approximately 1.33 acres (0.54 ha). It has been laid to pasture for a number of years and is generally in good heart. Please note that no Basic Payment Scheme Entitlements are included within the sale. We are informed that the land is subject to an overage clause (Deed of Overage). Please consult the legal pack for details. Please note that the purchasers will be responsible for paying a buyer’s premium in addition to the purchase price set at £1,800. For further details on fees payable please consult the legal pack.

* Generally speaking Guide Prices are provided as an indication of each seller's minimum expectation, i.e. 'The Reserve'. They are not necessarily figures which a property will sell for and may change at any time prior to the auction. Virtually every property will be offered subject to a Reserve (a figure below which the Auctioneer cannot sell the property during the auction) which we expect will be set within the Guide Range or no more than 10% above a single figure Guide.

Loading the bidding panel...

Agreement Documents

Related Documents

Make an Enquiry

Submit an enquiry and someone will be in contact shortly.

 
*  
*  
*
*
*

Share